浙江微流纳米生物技术有限公司
盐酸布替萘芬醇质体制备
盐酸布替萘芬为苯甲胺类抗真菌药物,可选择性地抑制真菌角鲨烯环氧化酶,干扰真菌细胞膜麦角甾醇的生物合成,使真菌细胞膜缺损,导致真菌细胞死亡。临床用于治疗由皮肤癣菌所致的浅表皮肤真菌感染,如手癣、足癣(尤其是角化增厚型) ,体癣,股癣,亦可用于头癣。醇质体是形态可变,有延展性的囊泡,其尺寸从纳米级到微米级,是由乙醇(20%~50%),大豆卵磷脂,胆固醇和水组成。乙醇被认为是一种有效的渗透促进剂,它可以促进药物通过皮肤。
1. 醇质体制备
采用乙醇注入法制备盐酸布替萘芬醇质体。精密称取盐酸布替萘芬10 mg,处方量大豆卵磷脂和胆固醇,溶解于乙醇于圆底烧瓶中,水浴超声溶解,直到全部溶解,密闭,先恒温磁力搅拌器( 35℃,600r/min) 搅拌均匀,再边搅拌边滴PBS缓冲液( pH = 7) 直到总质量为5g。滴加完毕后继续搅拌30 min,停止搅拌,超声处理3 min,0.45μm滤膜过滤,得到布替萘芬醇质体,冷藏备用。
盐酸布替萘芬醇质体凝胶制备
卡波姆940作为凝胶基质。称取0.5 g卡波姆940,溶于99.5 mL的蒸馏水中,于室温放置过夜,充分溶胀,滴加三乙醇胺调节pH至6.0,得凝胶基质。将布替萘芬醇质体与凝胶基质1∶1(质量比) 的比例混合,研磨均匀即得布替萘芬醇质体凝胶,含药量为1%。
2. 实验结果
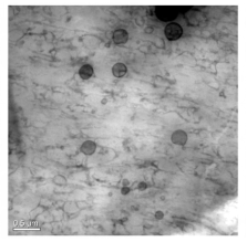
(1)盐酸布替萘芬醇质体表征
图中显示醇质体分散度较好,粒径分布很均匀;符合粒径253.9±6nm,PDI为 0.102,电位-33.4±6mV。

图一 醇质体TEM表征
(2)盐酸布替萘芬醇质体体外透皮实验
通过 Franz 扩散池研究醇质体凝胶体外透皮并和软膏进行对比。盐酸布替萘芬醇质体凝胶中药物在24 h后透过量达到11.8%,而软膏透过量只有0.6%;24 h后软膏的透过量也仅只是5.99μg /cm2,而醇质体凝胶达到了240.82μg /cm2。

图二 醇质体和软膏 24 h 药物透过量
(3)盐酸布替萘芬醇质体稳定性
一般醇质体表面是高的负电荷,相互之间的排斥力很大,但一定时间后,电荷降低,没有出现分层、浑浊的现象。

图三 醇质体的稳定性

ZB 20260123